Leave a Message

Thank you for your message. We will be in touch with you shortly.

How Kaylee Helps Landowners Achieve Max Value

How Kaylee Helps Landowners Achieve Max Value

How Kaylee Helps Landowners Achieve Max Value

Selling land in Central Texas isn’t just putting a sign in the ground—it’s about strategy, timing, and knowing the right buyers. Kaylee Sutton specializes in helping landowners unlock top dollar by connecting them with serious developers—and assisting developers in finding off-market properties that others can’t access.

From rural acreage subdivisions to large-scale master-planned communities, Kaylee has done it all. She knows how to structure deals that protect sellers, attract well-capitalized developers, and keep complex projects moving—no matter how long it takes.

Proven Results That Speak for Themselves

Lantana Subdivision – 150 Acres, Lockhart, TX

  • Closed: 2024 | $60,000 per acre | $9,000,000 total

  • Highlights: Created a Municipal Utility District (MUD) so D.R. Horton could install water and sewer systems. Now planned for ~400 homes.

“Moxie” – 589 Acres, Lockhart, TX

  • Ongoing 3-phase project | Phase 1 closed 2024 - 

    • Multi-phase project structured and negotiated by Kaylee Sutton
  • Highlights: Multi-year project requiring coordination, persistence, and strategic deal structuring.

    • 589 acres located less than 3 miles from Downtown Lockhart and 40 minutes from Austin

    • Planned for 2,500+ homes with a diverse mix of housing — cottages, townhomes, multi-gen homes with ADUs, and large-lot residences

    • Features The Crossing, a vibrant mixed-use hub with restaurants, retail, and artisan-inspired live-work spaces

    • Includes Byrd Lockhart Middle School (existing) and a future elementary school site

    • Designed as a walkable, connected community with trails, parks, greenways, and open spaces

    • Represents one of Lockhart’s largest master-planned developments

Project Sahara – 100 Acres, Kyle, TX

  • Projected Closing: Nov 2025 | $10,250,000

  • Highlights: Navigated city approvals, secured non-refundable option fees, and held firm on price despite market shifts.

    • 99-acre mixed-use development transforming East Kyle, TX — about 20 miles south of Austin

    • Planned for up to 630 multifamily units (market-rate and affordable) and 330 single-family/townhome units, including alley- and front-loaded homes, patio homes, and ADUs

    • 13 acres of retail, 28 acres of apartments, and 48 acres of single-family garden homes

    • 10.5 acres of open space, including connection to the city’s Vybe Trail, plus additional park and civic areas. Featuring parks, trails, and open space for walkability and recreation

    • Backed by a Public Improvement District (PID) to fund infrastructure and city growth

    • New Chevo Pastrano Senior Parkway improving connectivity and access

    • Designed to bring jobs, new housing options, and vibrant amenities to an underserved area

    • Aims to enhance quality of life by bringing diverse housing options, retail, civic amenities, and walkable community spaces and create a true community hub for East Kyle residents

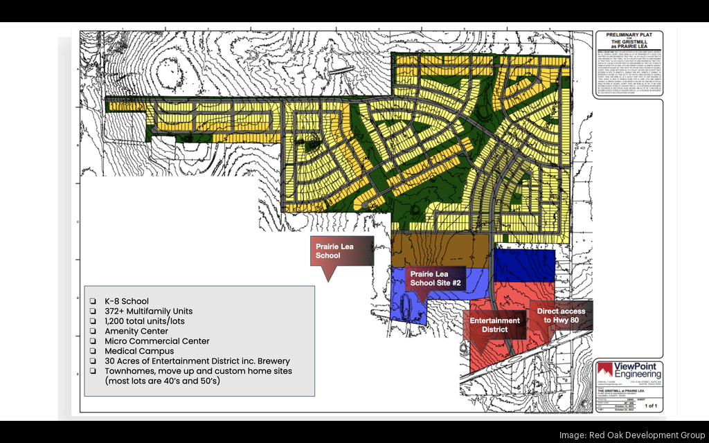
Prairie Lea Project – 350 Acres, Prairie Lea, TX

  • Closed 2022 | ~$25,000 per acre

  • Highlights: Sold before full entitlements thanks to strategic pricing and seller financing.

    • 350-acre master-planned development in Caldwell County, ~50 miles south of Austin

    • Part of Red Oak Development Group’s Project Lone Star, a $15B initiative to build interconnected “mini-cities” around Central Texas

    • Planned for up to 1,300 residential units: single-family homes, multi-family, and units reserved for local teachers

    • 51 acres of open space, including natural trails and pocket parks for every neighborhood

    • 20-acre amenity center and K–8 school site integrated with Prairie Lea ISD

    • Up to 400,000 sq. ft. of commercial space, including micro-commercial center, medical clinics, brewery, and amphitheater

    • Walkable, bikeable design with alleys, front porches, and community amenities to foster social connection

    • Infrastructure includes water treatment plant, water tower, and planned Municipal Utility District (MUD)

    • Focused on job creation, housing for teachers, community amenities, and long-term economic growth

    • Buildout expected to be completed by 2031, positioning Prairie Lea as a future regional hub

Lockhart Project – 367 Acres

  • Actively marketed | $35,000 per acre

  • Highlights: Long-term deal management with multiple contracts and ongoing negotiations.

    • Prime development site poised to be Lockhart’s next major land opportunity

    • Potential for 1,000+ homes in a master-planned community

    • Over two miles of road frontage on three sides for maximum accessibility

    • Water and sewer access nearby, with minimal floodplain

    • Strategically located: 7 miles from downtown Lockhart, under 20 minutes to Austin, and less than 1 mile from SH-130 for fast north-south connectivity

    • Flexible for residential, mixed-use, or industrial development, including manufacturing or logistics hubs

    • Situated in rapidly growing Caldwell County, part of Central Texas’s hottest growth corridor

What Sets Kaylee Apart

Every deal comes with challenges—MUDs, phased closings, seller financing, city approvals. Kaylee turns these challenges into opportunities:

  • Marketing Power: She brings the right developers to your property.

  • Creative Deal Structuring: Phased closings, financing solutions, and approvals handled.

  • Persistence & Experience: Keeping deals alive for years, protecting seller value, and closing tough projects.

If you’re a landowner looking to maximize your property’s value, or a developer searching for exclusive off-market opportunities, Kaylee Sutton is the Central Texas expert who can make it happen.

Your land has potential—let’s unlock it together.

Work With Us

You’ve got questions and we can’t wait to answer them.